By Bernadette Martin | Corporate Engagement Manager
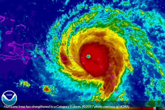
HURRICANE IRMA: FLORIDA
After hitting numerous islands in the Caribbean, Hurricane Irma hit Florida as a 400-mile-wide, Category 4 storm on September 10.
The storm and its aftermath killed at least 38 in the Caribbean, 34 in Florida, three in Georgia, four in South Carolina, and one in North Carolina. To help vulnerable families recover, World Vision quickly began to assist families in Florida, Haiti, and the Dominican Republic.
In the migrant farming community of Immokalee, Florida, World Vision provided 18,029 people with relief supplies over the course of 10 weeks. We sent in five semi-truckloads of prepositioned relief supplies, which were then distributed to families through local partners. Supplies included food, clothes, bottled water, water filters, hygiene kits, sleeping bags, bedding, diapers and infant supplies, coolers, towels, bleach and other cleaning supplies, and insectshield blankets.
Nearly 400 families also received a $500 gift card that could be used to purchase food, clothing, and other essentials at the nearby Walmart. The cards were given to migrant farm workers, Haitian immigrants, and local residents who were deemed most vulnerable, as determined by seven local nonprofit organizations.
In addition, our team delivered generators to isolated communities and three churches that needed power to run their soup kitchens and feeding centers. One church prepares three hot meals every week for 750 farmworkers during the growing season.
Since it took quite some time for schools to reopen after the storm, World Vision worked with and resourced a school that opened a safe space for children.
To continue serving the families of Immokalee, World Vision will send monthly shipments of essential items to Bethel Assembly of God Church for ongoing distributions. This long-term partnership will continue into the foreseeable future, thanks to the support of donors in the U.S.
Community comes together to help out
Brenda smiles as she receives a Kohler water filter at Bethel Assemblies of God Church in Immokalee, Florida. “We’re safe, thank God. But we can’t get any of our things,” says Brenda, who was scrambling to find shelter for her extended family of eight.
Like many other families, Brenda’s fled ahead of the storm. Afterward, with cell service down, they couldn’t check to see how the house had fared until they physically returned. When they did, there was a red notice taped to their house that read “Condemned.” Wind and rain had done their worst, leaving it in shambles. They had lost everything.
Fortunately, she could replace some of the lost things at a distribution stocked by World Vision, thanks to the support of our donors and corporate partners.
“I’m so grateful, though. I’ve learned how much people here care for each other. The Immokalee community really comes together to help out,” she says.
HURRICANE MARIA: PUERTO RICO
Less than two weeks after Hurricane Irma, multiple islands of the Caribbean were struck with another storm. On September 20, Hurricane Maria barreled through Puerto Rico with winds up to 155 mph, making it the strongest hurricane to hit the U.S. territory in more than 80 years. This was the third Category 4 hurricane to strike the USA in a matter of weeks, resulting in an incredible strain on the capacity of governments and nongovernmental organizations to respond.
The island’s entire population of 3.1 million people was affected by Hurricane Maria. Current records show that 64 people lost their lives, but the actual count is likely much higher. Maria knocked out power across the entire island, triggered heavy flooding, and destroyed an unknown number of homes and businesses. The two main elements of Puerto Rico’s economy— agriculture and tourism—have been devastated by the storm.
Although Puerto Rico has a long road of recovery ahead, some essential services, including power, water, banking, and telecommunications are finally starting to normalize for the majority of peopleafter three months of relief efforts.
From October through December 2017, your support equipped World Vision and our partners to reach 74,871 people in nearly 25,000 households of Puerto Rico.
Due to the scale of need, World Vision deployed two teams to identify urgent needs, along with local partners and networks, including Urban Strategies and the National Latino Evangelical Coalition. Our staff worked with the University
of Puerto Rico and local governments to serve schools and vulnerable residents that lacked access to water. We also coordinated with community leaders and authorities to protect children from abuse, which is often common in the aftermath of a natural disaster.
Thanks to the outpouring of support from corporate partners and private donors, World Vision launched a four-month emergency relief to alleviate the suffering of people in the municipalities of Utuado, Morovis, Orocovis, Patillas, and Juncos. Donated supplies, and those that could not be purchased locally, were shipped by boat, and even once by plane. We distributed:
Moving forward, World Vision and our partners will reach communities across Puerto Rico with capacity building that aims to reduce the risks of future disasters. In January 2018, we will conduct a training that will reach 21,000 people in Puerto Rico.
Reaching Remote Areas
Soon after the storm, World Vision and Calvary Church in Utuado teamed up to reach families in some of the most remote, hardest-hit areas of Puerto Rico. In the mountainous area of Consejo, we provided water, food, tarps, hygiene supplies, and other essentials to families who had been cut off from services by mudslides. “This is a relief for everybody,” said one man named Agustin. “You guys are the first. The first meals, water, and tarps we got, we got from you guys.”
By Bernadette Martin | Corporate Engagement Manager
Project reports on GlobalGiving are posted directly to globalgiving.org by Project Leaders as they are completed, generally every 3-4 months. To protect the integrity of these documents, GlobalGiving does not alter them; therefore you may find some language or formatting issues.
If you donate to this project or have donated to this project, you can receive an email when this project posts a report. You can also subscribe for reports without donating.

